![]() EF3 tornado damage in Wheatland, Wisconsin. | |
| Type | Tornado outbreak |
|---|---|
| Duration | January 7–11, 2008 |
| Tornadoes confirmed | 73 |
| Max. rating1 | EF3 tornado |
| Duration of tornado outbreak2 | 3 days, 11 hours, 48 minutes |
| Fatalities | 4 fatalities (+2 non-tornadic), 62 injuries |
| Damage | $88 million (+ $41 million non–tornadic)[1] |
| Areas affected | Northwestern, Central and Southern United States |
Part of Tornadoes of 2008 1Most severe tornado damage; see Enhanced Fujita scale 2Time from first tornado to last tornado | |
An unseasonably strong tornado outbreak began on January 7, 2008, and continued for nearly four days across the Central and Southern United States, with the hardest hit area being southwestern Missouri, northwestern Arkansas, and the surrounding area. In addition, a strong supercell in northern Illinois and southeastern Wisconsin produced that region's first January tornadoes since 1967.[2]
More tornadoes occurred across the Mississippi Valley on January 8 and after a break in the activity on January 9, another round of severe weather took place in the Southern United States (primarily Alabama and Mississippi) on January 10. Several damaging tornadoes were reported that day, although no one was killed. A separate, unrelated EF1 tornado also struck the northern suburbs of Vancouver, Washington. In total, over the four-day period, 73 tornadoes were confirmed and four people were killed.
Meteorological synopsis
An unseasonably warm air mass was entrenched over much of central and eastern North America with record highs for much of the region. Several record high temperatures were broken across several states and Canadian provinces from January 7 to January 9 as temperatures rose into the 70s (21–25 °C) as far north as the Ohio Valley with dewpoints in the high 50s and low 60s (14–17 °C) providing additional fuel for storm development.
In addition, many areas near the Great Lakes region reached the mid to upper 60s (17–20 °C) which allowed the northern cells to form, while several areas in southern Ontario and Quebec near the Canada-US border reached near 60 °F (16 °C).[3][4]

A strong low-pressure area over the central Great Lakes and its associated cold front combined with intense wind shear to provide a favorable environment for supercell development.[5] Despite only moderate instability (which meant only a slight risk of severe weather was issued by the Storm Prediction Center, and only modest probabilities for severe weather at first[6]), supercells developed throughout the day over much of the central US and continued throughout the evening and overnight hours, continuing into the morning of January 8. The hardest-hit area was in the Ozarks, around Springfield, Missouri, where nearly continuous supercells developed throughout the evening, resulting in numerous tornado touchdowns. In addition to the tornadoes, hail larger than baseballs and damaging straight-line downburst winds as strong as 100 mph (160 km/h) were reported. At least three people were killed in Missouri as a result of the tornadoes. Two of these deaths occurred near Marshfield and there were also six injuries.[7]
Strong tornadoes also touched down further north near Chicago and Milwaukee causing extensive damage along the Wisconsin/Illinois border as well as several injuries. Strong cells and lines also formed in Michigan prompting rare tornado warnings across central parts of Lower Michigan.[8] Scattered thunderstorms were reported in Northern, Central and Southern Ontario on the evening of January 7.[9] Tornado watches extended from eastern Oklahoma to southwestern Ontario on January 7.[10]

Activity shifted across the Mid-Mississippi Valley on January 8 where tornado watches were issued across Arkansas and Tennessee and later extended across the Ohio Valley to near Columbus, Ohio and Dayton, Ohio until the early morning hours on January 9. A strong tornado in Pope County, Arkansas killed person and additional tornadoes were reported just west of Memphis. During the day, most of the activity was formed into a line that extended from the Ohio Valley to Alabama although thunderstorm-related wind damage was reported as far north as upstate New York and western Pennsylvania.

After a lull in activity on January 9, a separate system across the Southern United States led to more severe weather, including tornadoes, on January 10. A moderate risk of severe weather was issued by the Storm Prediction Center. Storms developed across Louisiana and Mississippi during the morning and noon periods moving into Alabama with additional storms developing as far north as central and eastern Kentucky where a tornado watch was issued stretching down towards eastern Louisiana and later into Georgia. Multiple strong tornadoes affected Mississippi, Tennessee, and Alabama that evening, including an EF3 tornado that severely damaged the town of Caledonia, Mississippi. More stable air farther east reduced the severe weather potential. In additions to these tornadoes, a rapidly advancing cold front moved into Oregon and Washington generated a severe thunderstorm that produced a damaging EF1 tornado on the north side of Vancouver, Washington on the afternoon of January 10. In addition to the tornado, several funnel clouds were also reported in the area. Wintry weather including snow, sleet and freezing rain on the northern side of the storm was reported from Wisconsin to Maine on January 10–11. Overall, this outbreak sequence killed four people and injured at least 62 others.
Confirmed tornadoes
| EFU | EF0 | EF1 | EF2 | EF3 | EF4 | EF5 | Total |
|---|---|---|---|---|---|---|---|
| 0 | 29 | 29 | 7 | 8 | 0 | 0 | 73 |
January 7 event
| EF# | Location | County / Parish | State | Start Coord. | Time (UTC) | Path length | Max width | Damage[note 2] | Summary |
|---|---|---|---|---|---|---|---|---|---|
| EF0 | SW of Lowry City | St. Clair | MO | 38°07′11″N 93°46′06″W / 38.1196°N 93.7683°W | 2022–2023 | 0.07 mi (0.11 km) | 20 yd (18 m) | $0 | A few trees were damaged.[11] |
| EF0 | SE of Lincoln | Benton | MO | 38°21′49″N 93°17′55″W / 38.3636°N 93.2987°W | 2054–2055 | 0.17 mi (0.27 km) | 25 yd (23 m) | $20,000 | A local newspaper reported a brief tornado touchdown that heavily damaged a pole barn.[12] |
| EF3 | N of Poplar Grove to NNE of Harvard | Boone, McHenry | IL | 42°23′15″N 88°49′48″W / 42.3874°N 88.83°W | 2130–2148 | 13.2 mi (21.2 km) | 100 yd (91 m) | $4,000,000 | A shed, a house, and other structures had sections of their roofing ripped off. A large barn was destroyed while a second, poorly-constructed one was blown over. A two-story farm house and associated garage were leveled. Several other buildings were severely damaged. A second garage was blown down, a moving freight train was partially derailed, and numerous trees were snapped or uprooted. A semi-trailer was flipped.[13][14] |
| EF0 | SSW of Mexico | Audrain | MO | 39°04′07″N 91°57′06″W / 39.0687°N 91.9518°W | 2155–2156 | 0.3 mi (0.48 km) | 40 yd (37 m) | Unknown | A machine shed and several trees were damaged; numerous tree limbs were downed.[15] |
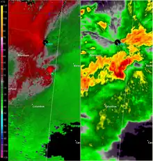
| EF3 | NE of Pell Lake to NNW of Paddock Lake | Walworth, Kenosha | WI | 42°32′56″N 88°20′00″W / 42.5488°N 88.3334°W | 2202–2217 | 10.78 mi (17.35 km) | 200 yd (180 m) | $13,810,000 | In Walworth County, three structures sustained minor damage and two structures sustained moderate damage. After crossing into Kenosha County, the tornado impacted Wheatland; 7 homes were affected, 25 sustained minor damage, 27 sustained major damage, and 25 were completely destroyed. In Brighton, 10 homes were affected, 3 sustained minor damage, 3 sustained major damage, and 4 were completely destroyed. Numerous trees were snapped, uprooted, or debarked. Damage to some structures suggested an EF4 rating, but lack of proper anchoring prevented an upgrade.[16][17] This became the earliest confirmed tornado in Wisconsin.[18] |
| EF1 | Kenosha | Kenosha | WI | 42°37′26″N 87°51′57″W / 42.624°N 87.8659°W | 2239–2243 | 2.48 mi (3.99 km) | 75 yd (69 m) | $7,930,000 | Two homes sustained minor damage and one home sustained major damage in Somers. In Kenosha, 1 home was affected, 21 sustained minor damage, 6 sustained major damage, and 5 were completely destroyed; a church was destroyed as well. Several power lines were toppled, and dozens of trees were snapped or uprooted.[19] |
| EF2 | SW of Aurora | Barry | MO | 36°48′57″N 94°00′29″W / 36.8159°N 94.008°W | 2306–2325 | 12.43 mi (20.00 km) | 200 yd (180 m) | $500,000 | Eight mobile homes were destroyed in a mobile home park. Additional houses and farm outbuildings were damaged.[20] |
| EF1 | SSE of Mackinaw | Tazewell | IL | 40°30′04″N 89°21′00″W / 40.5011°N 89.35°W | 2322–2325 | 3 mi (4.8 km) | 100 yd (91 m) | $30,000 | A pole barn was destroyed while a house and other outbuildings were damaged. A chain link fence and a few tree limbs were downed.[21] |
| EF0 | E of Pineville | McDonald | MO | 36°35′29″N 94°19′35″W / 36.5914°N 94.3264°W | 2350–2351 | 0.25 mi (0.40 km) | 20 yd (18 m) | $0 | A few trees sustained minor damage.[22] |
| EF2 | Northwestern Republic | Greene | MO | 37°06′23″N 93°31′55″W / 37.1065°N 93.5319°W | 2357–0005 | 6.44 mi (10.36 km) | 200 yd (180 m) | $2,000,000 | Nearly 15 houses were severely damaged or destroyed. An elementary school sustained major damage to its roof.[23] |
| EF3 | NE of Springfield to E of Lebanon | Greene, Webster, Laclede | MO | 37°16′31″N 93°09′52″W / 37.2754°N 93.1644°W | 0029–0133 | 50.39 mi (81.09 km) | 300 yd (270 m) | $19,000,000 | 3 deaths – A long-tracked and significant tornado caused extensive damage to homes, trees, and outbuildings. One death occurred in rural Greene County while an additional two occurred in Webster County.[24][25] [26] |
| EF0 | WSW of Republic | Lawrence, Christian | MO | 37°01′31″N 93°43′49″W / 37.0253°N 93.7302°W | 0128–0138 | 6.43 mi (10.35 km) | 50 yd (46 m) | $75,000 | A few farm houses and outbuildings were damaged.[27][28] |
| EF2 | NE of Springfield to WNW of Marshfield | Greene, Webster | MO | 37°13′23″N 93°10′28″W / 37.223°N 93.1744°W | 0132–0156 | 15.29 mi (24.61 km) | 300 yd (270 m) | $2,000,000 | Several homes and outbuildings sustained severe damage.[29][30] |
| EF0 | N of Bland | Gasconade | MO | 38°23′16″N 91°38′10″W / 38.3878°N 91.636°W | 0150–0151 | 0.28 mi (0.45 km) | 50 yd (46 m) | $0 | Several trees were uprooted and tree limbs snapped.[31] |
| EF0 | S of Hiwasse | Benton | AR | 36°24′04″N 94°19′48″W / 36.4011°N 94.33°W | 0205 | 0.1 mi (0.16 km) | 50 yd (46 m) | $0 | Multiple trained storm spotters observed a brief tornado over open country.[32] |
| EF3 | SSE of Dixon | Pulaski, Phelps | MO | 36°24′04″N 94°19′48″W / 36.4011°N 94.33°W | 0206–0219 | 6.44 mi (10.36 km) | 400 yd (370 m) | $1,110,000 | In Pulaski County, a few homes and outbuildings were destroyed, injuring three people. In Phelps County, one home and several outbuildings were destroyed.[33][34] |
| EF0 | SW of Watts | Adair | OK | 36°04′45″N 94°37′15″W / 36.0791°N 94.6207°W | 0208 | 0.1 mi (0.16 km) | 50 yd (46 m) | $0 | Multiple trained storm spotters observed a brief tornado over open country.[35] |
| EF1 | W of Washburn | McDonald, Barry | MO | 36°30′59″N 94°08′38″W / 36.5165°N 94.1439°W | 0215–0229 | 7.43 mi (11.96 km) | 100 yd (91 m) | $300,000 | Numerous trees and a few structures were heavily damaged or destroyed.[36][37] |
| EF0 | WNW of Clarksville | Pike | MO | 39°21′59″N 91°03′20″W / 39.3665°N 91.0555°W | 0230–0235 | 4.98 mi (8.01 km) | 40 yd (37 m) | $0 | Sporadic tree damage was observed.[38] |
| EF0 | W of Nebo | Pike | IL | 39°25′44″N 90°50′38″W / 39.4289°N 90.8439°W | 0240–0243 | 2.35 mi (3.78 km) | 40 yd (37 m) | $0 | Sporadic tree damage was observed.[39] |
| EF1 | ENE of Elkland | Webster, Dallas | MO | 37°26′27″N 92°57′47″W / 37.4409°N 92.9631°W | 0242–0248 | 5.24 mi (8.43 km) | 150 yd (140 m) | $50,000 | A home, several outbuildings, and trees were damaged.[40][41] |
| EF0 | E of Centerton | Benton | AR | 36°21′00″N 94°12′29″W / 36.35°N 94.2081°W | 0250 | 0.1 mi (0.16 km) | 50 yd (46 m) | $0 | Multiple trained storm spotters reported a brief tornado over open country.[42] |
| EF2 | SW of Lebanon | Laclede | MO | 37°34′15″N 92°47′52″W / 37.5708°N 92.7979°W | 0300–0308 | 5.44 mi (8.75 km) | 300 yd (270 m) | $100,000 | A home and numerous outbuildings were destroyed.[43] |
| EF0 | W of Seligman | Barry | MO | 36°30′51″N 93°59′36″W / 36.5141°N 93.9932°W | 0312–0313 | 0.12 mi (0.19 km) | 20 yd (18 m) | $0 | A few trees were damaged.[44] |
| EF1 | S of Nixa | Christian | MO | 36°58′01″N 93°18′15″W / 36.967°N 93.3042°W | 0336–0337 | 0.36 mi (0.58 km) | 100 yd (91 m) | $200,000 | Numerous homes were damaged and two mobile homes were destroyed. A woman was injured after being hit by flying debris.[45] |
| EF1 | N of Doolittle to S of Belle | Phelps, Maries | MO | 38°00′41″N 91°53′33″W / 38.0115°N 91.8924°W | 0340–0458 | 15.06 mi (24.24 km) | 100 yd (91 m) | $5,005,000 | In Phelps County, one home sustained roof damage and numerous trees were damaged. In Maries County, approximately 40 structures were damaged, including a mobile home that was destroyed. Four airplanes were damaged at Rolla National Airport, where an ASOS station measured a gust of 96 mph (154 km/h).[46][47] |
| EF0 | S of Marshfield | Webster | MO | 37°06′55″N 93°00′12″W / 37.1154°N 93.0032°W | 0357–0410 | 10.63 mi (17.11 km) | 50 yd (46 m) | $8,000 | A few outbuildings and trees sustained minor damage.[48] |
| EF0 | SSW of Oaks | Cherokee | OK | 36°03′02″N 94°58′31″W / 36.0505°N 94.9753°W | 0428–0430 | 1.8 mi (2.9 km) | 500 yd (460 m) | $25,000 | Two barns and the roofs of several houses were damaged. A number of trees were uprooted.[49] |
January 8 event
| EF# | Location | County / Parish | State | Start Coord. | Time (UTC) | Path length | Max width | Damage[note 2] | Summary |
|---|---|---|---|---|---|---|---|---|---|
| EF1 | NW of Gentry | Benton | AR | 36°18′03″N 94°31′05″W / 36.3007°N 94.5181°W | 0509–0512 | 2.6 mi (4.2 km) | 85 yd (78 m) | $0 | Extensive tree damage was observed.[50] |
| EF0 | NE of Porter | Wagoner | OK | 35°53′26″N 95°29′41″W / 35.8905°N 95.4947°W | 0538 | 0.5 mi (0.80 km) | 75 yd (69 m) | $0 | Extensive tree damage occurred.[51] |
| EF0 | NE of Wagoner | Wagoner | OK | 35°54′23″N 95°18′38″W / 35.9063°N 95.3105°W | 0554–0558 | 2.7 mi (4.3 km) | 100 yd (91 m) | $0 | Extensive tree damage occurred.[52] |
| EF1 | SSW of Cassville | Barry | MO | 36°36′41″N 93°56′45″W / 36.6114°N 93.9458°W | 0822–0826 | 4.83 mi (7.77 km) | 100 yd (91 m) | $300,000 | A few houses and outbuildings, as well as numerous trees, sustained damage.[53] |
| EF1 | S of Crane | Barry, Stone | MO | 36°48′37″N 93°40′20″W / 36.8104°N 93.6722°W | 0831–0844 | 12.14 mi (19.54 km) | 200 yd (180 m) | $2,000,000 | Poultry barns, sheds, and outbuildings were heavily damaged or destroyed. Trees were damaged.[54][55] |
| EF1 | Springfield | Greene | MO | 37°12′49″N 93°16′51″W / 37.2137°N 93.2808°W | 0837–0838 | 1.13 mi (1.82 km) | 50 yd (46 m) | $50,000 | A warehouse and a Krispy Kream donut sign were completely destroyed, and several homes sustained minor damage.[56] |
| EF1 | Highlandville | Christian | MO | 36°55′48″N 93°18′28″W / 36.93°N 93.3077°W | 0850–0856 | 4.98 mi (8.01 km) | 100 yd (91 m) | $250,000 | Numerous structures, several outbuildings, and several highway advertisement signs were damaged.[57] |
| EF0 | W of Kirbyville | Taney | MO | 36°37′45″N 93°15′58″W / 36.6293°N 93.266°W | 0901–0903 | 2.88 mi (4.63 km) | 20 yd (18 m) | $75,000 | Three condominiums at a golf resort and a mobile home park sustained damage.[58] |
| EF0 | ESE of Marshfield | Webster | MO | 37°16′46″N 92°50′59″W / 37.2795°N 92.8496°W | 0916–0920 | 7.2 mi (11.6 km) | 50 yd (46 m) | $15,000 | Weak structure and tree damage was observed.[59] |
| EF0 | NNW of Ava | Douglas | MO | 36°58′49″N 92°48′51″W / 36.9803°N 92.8142°W | 0917–0926 | 9.65 mi (15.53 km) | 50 yd (46 m) | $75,000 | Several barns and outbuildings were damaged or destroyed, and numerous trees were snapped or uprooted.[60] |
| EF2 | ENE of Marshfield | Webster | MO | 37°20′30″N 92°51′48″W / 37.3418°N 92.8633°W | 0918–0922 | 4.73 mi (7.61 km) | 150 yd (140 m) | $750,000 | Several homes and outbuildings were destroyed.[61] |
| EF1 | NW of Vanzant | Douglas | MO | 37°02′15″N 92°21′57″W / 37.0375°N 92.3658°W | 0943–0945 | 2.23 mi (3.59 km) | 75 yd (69 m) | $125,000 | A mobile home was moved off its foundation, and significant tree damage was observed.[62] |
| EF1 | WSW of Houston | Wright, Texas | MO | 37°11′25″N 92°18′07″W / 37.1904°N 92.302°W | 0945–0953 | 11.95 mi (19.23 km) | 150 yd (140 m) | $200,000 | A few barns and outbuildings were damaged.[63][64] |
| EF0 | NNE of Pottersville | Howell | MO | 36°45′24″N 91°59′35″W / 36.7568°N 91.9931°W | 1020–1021 | 0.36 mi (0.58 km) | 20 yd (18 m) | $1,000 | Two outbuildings and a mobile home were damaged.[65] |
| EF1 | ESE of Summersville | Shannon | MO | 37°07′59″N 91°31′04″W / 37.133°N 91.5177°W | 1027–1028 | 2.27 mi (3.65 km) | 200 yd (180 m) | $1,000 | Numerous trees were snapped and uprooted.[66] |
| EF1 | NNE of Winona | Shannon | MO | 37°09′23″N 91°18′42″W / 37.1563°N 91.3117°W | 1038–1047 | 9.83 mi (15.82 km) | 200 yd (180 m) | $75,000 | Two barns and a garage were destroyed, and numerous trees were snapped or uprooted.[67] |
| EF0 | S of Alton | Oregon | MO | 36°40′20″N 91°25′21″W / 36.6723°N 91.4224°W | 1059–1100 | 1.1 mi (1.8 km) | 50 yd (46 m) | $1,000 | A few outbuildings were damaged, and a barn sheltering several new motorcycles at a motorcycle shop was destroyed.[68] |
| EF2 | SSW of Moreland to SW of Clinton | Pope, Conway, Van Buren | AR | 35°21′15″N 93°00′27″W / 35.3541°N 93.0075°W | 1426–1458 | 20.46 mi (32.93 km) | 440 yd (400 m) | $5,350,000 | 1 death – A strong tornado began in Pope County, affecting 42 structures: 6 sustained minor damage, 29 sustained moderate to heavy damage, and 7 were destroyed. Six chicken houses, two barns, and a number of outbuildings were destroyed. A travel trailer and motor home were overturned, and one death occurred when a mobile home was destroyed. In Conway County, 3 homes were destroyed and 12 others sustained light to heavy damage. A church and 10 other structures were destroyed, and a cemetery, three natural gas well sites, and 13 additional structures were damaged. Hundreds of trees were downed.[69] [70][71] |
| EF1 | E of Bloomfield | Stoddard | MO | 36°50′49″N 89°50′10″W / 36.847°N 89.836°W | 1840–1845 | 4.78 mi (7.69 km) | 120 yd (110 m) | $250,000 | A house was heavily damaged, with its roof ripped off and tossed 100–200 yd (91–183 m). Three outbuildings and an equipment shed were destroyed, a trailer was thrown about 75 yd (69 m), approximately 10 power poles were snapped, windows of vehicles were broken, and a few large trees were snapped. A pump house was thrown into a propane tank, causing a propane leak.[72] |
| EF0 | NNW of Parkin | Cross | AR | 35°15′46″N 90°38′52″W / 35.2629°N 90.6479°W | 1926–1936 | 10.61 mi (17.08 km) | 150 yd (140 m) | $25,000 | A roof was ripped off a mobile home, and trees and power lines were downed. Several farm water rig pivots were blown over.[73] |
| EF1 | NNW of Gilmore | Poinsett | AR | 35°26′40″N 90°17′32″W / 35.4445°N 90.2921°W | 1952–1953 | 0.15 mi (0.24 km) | 25 yd (23 m) | $50,000 | A utility and parking shed was completely destroyed, two homes sustained roof damage, and numerous trees were downed.[74] |
| EF1 | NNE of Wilson | Mississippi | AR | 35°38′26″N 89°58′42″W / 35.6406°N 89.9784°W | 2020–2025 | 3.51 mi (5.65 km) | 75 yd (69 m) | $100,000 | Numerous homes sustained roof damage, many trees were downed, a metal farm equipment building was shifted off its foundation, and a vehicle was destroyed.[75] |
| EF1 | NW of Halls | Lauderdale, Dyer | TN | 35°54′24″N 89°27′44″W / 35.9066°N 89.4623°W | 2058–2106 | 7.81 mi (12.57 km) | 25 yd (23 m) | $270,000 | A mobile home was shifted off its foundation and destroyed. Numerous homes sustained substantial damage or were shifted off their foundations. Fences were damaged, a garage was collapsed, a machine shed was destroyed, several power lines were downed, and numerous trees were snapped or uprooted.[76][77] |
| EF0 | W of Fayette | Jefferson | MS | 31°41′42″N 91°14′28″W / 31.6949°N 91.2411°W | 2130–2137 | 4.86 mi (7.82 km) | 50 yd (46 m) | $0 | Several trees were downed.[78] |
| EF1 | NW of Harrisville to S of Puckett | Simpson | MS | 31°59′N 90°06′W / 31.99°N 90.1°W | 2337–0015 | 19.41 mi (31.24 km) | 125 yd (114 m) | $600,000 | A framed house had a large section of its roof ripped off. One outbuilding was destroyed and blown away while several others sustained damage to their tin roofs. A home sustained shingle damage, power lines were downed, and numerous trees were snapped or uprooted.[79] |
| EF0 | SE of Puckett | Rankin | MS | 32°04′N 89°45′W / 32.06°N 89.75°W | 0011–0012 | 0.4 mi (0.64 km) | 50 yd (46 m) | $12,000 | A home sustained shingle damage and trees were downed.[80] |
January 10 event
| EF# | Location | County / Parish | State | Start Coord. | Time (UTC) | Path length | Max width | Damage[note 2] | Summary |
|---|---|---|---|---|---|---|---|---|---|
| EF1 | SSE of Rocky Springs | Claiborne | MS | 32°04′27″N 90°48′01″W / 32.0741°N 90.8003°W | 1727–1732 | 3.14 mi (5.05 km) | 250 yd (230 m) | $80,000 | Significant tree damage occurred in a very rural area, with hundreds of trees snapped and uprooted, and a few power poles were downed as well.[81] |
| EF3 | WNW of Pickens to ENE of Goodman | Holmes, Attala | MS | 32°53′43″N 89°59′52″W / 32.8954°N 89.9979°W | 1751–1805 | 9.73 mi (15.66 km) | 1,320 yd (1,210 m) | $3,870,000 | A narrow path of scattered downed trees occurred near the start of the track before the damage became much more intense, with hundreds of trees snapped and uprooted, and one home had part of its roof ripped off. The tornado reached maximum intensity between MS 17 and US 51. Hundreds more trees were snapped and uprooted, some of which were hardwoods that were completely snapped off except for some large limbs and partially debarked. Several mobile homes were destroyed, and two homes built with wood frames and concrete blocks had almost all outer walls collapsed and roofs completely removed. A pickup truck was thrown nearly 150 yards (140 m), and further along the track, three high tension steel power poles were snapped off near their bases. The tornado then crossed into Attala County and snapped or uprooted many more trees before it weakened and dissipated. This was the first of three EF3 tornadoes spawned by the same supercell. Three people were injured.[82] |
| EF3 | WNW of Ethel to SSE of Ackerman | Attala, Choctaw | MS | 33°07′55″N 89°31′24″W / 33.132°N 89.5233°W | 1828–1858 | 23.59 mi (37.96 km) | 880 yd (800 m) | $6,200,000 | The tornado touched down west of Ethel and produced a path of tree damage that intensified shortly after beginning. The tornado reached its widest point as it crossed the Natchez Trace Parkway, snapping and uprooting several dozen trees. Significant structural damage occurred to some buildings just southwest of McCool, and one cinder block building was almost completely destroyed. A room added to the back of a frame home was removed as well. After passing McCool, the tornado narrowed and weakened, while continuing to produce tree damage. The tornado again intensified after crossing into Choctaw County, and a dairy complex was heavily damaged south of Weir. A well-constructed milking parlor was completely destroyed, with all exterior walls collapsed or destroyed. A large 9,000 lb (4,100 kg) trailer was picked up and flipped on top of a farm building, and a few metal and wood livestock buildings and grain silo were destroyed. In addition, 300 head of cattle were injured, and ten were killed. A path of tree damage continued for a few miles before the tornado dissipated. This was the second of three EF3 tornadoes produced by the same supercell. Three people were injured.[83] |
| EF0 | N of Fannin to S of Goshen Springs | Rankin | MS | 32°26′08″N 89°57′19″W / 32.4356°N 89.9554°W | 1839–1841 | 1.81 mi (2.91 km) | 40 yd (37 m) | $10,000 | A brief, weak tornado touched down north of Fannin and snapped several large pine trees.[84] |
| EF0 | W of Dixons Mills | Marengo | AL | 32°03′15″N 87°49′06″W / 32.0542°N 87.8184°W | 1908–1909 | 0.46 mi (0.74 km) | 200 yd (180 m) | $100,000 | Four homes sustained minor damage and several trees were snapped.[85] |
| EF1 | W of New Roads | Pointe Coupee | LA | 30°40′48″N 91°27′49″W / 30.68°N 91.4637°W | 1910–1912 | 0.25 mi (0.40 km) | 30 yd (27 m) | $1,500,000 | A brief tornado touched down and damaged several industrial buildings of a farm equipment dealer. Several large doors were blown in, a few windows were broken, and most of a roof was torn off. Debris was scattered about 0.25 miles (0.40 km) into an open field and trees and a railroad crossing arm was broken off as well.[86] |
| EF0 | SW of Pearl River | Neshoba | MS | 32°45′56″N 89°15′00″W / 32.7655°N 89.25°W | 1942–1946 | 1.47 mi (2.37 km) | 75 yd (69 m) | $130,000 | Two homes had minor damage: one had its porch damaged and another had shingles torn off. Two outbuildings had their roofs blown off and several trees were snapped or uprooted along the path.[87] |
| EF1 | SE of Midway | Tishomingo | MS | 34°43′00″N 88°14′01″W / 34.7168°N 88.2335°W | 1954–1958 | 2.78 mi (4.47 km) | 100 yd (91 m) | $25,000 | Two homes had minor damage and two metal side panels were blown off of two large sheds. Tree damage also occurred, with about three dozen trees uprooted, some trees snapped and twisted, and additional smaller trees snapped.[88] |
| EF1 | N of Bon Ayr to SE of Park City | Barren | KY | 37°03′36″N 86°04′08″W / 37.0599°N 86.069°W | 2002–2006 | 3.07 mi (4.94 km) | 350 yd (320 m) | $600,000 | Nine barns were destroyed, one home had minor roof damage, and another home had its front porch torn off. Many trees were snapped or uprooted as well, and a path of straight line wind damage continued for about 1.5 miles (2.4 km) after the tornado lifted.[89] |
| EF3 | E of Kolola Springs, MS to W of Vernon, AL | Lowndes (MS), Lamar (AL) | MS, AL | 33°39′21″N 88°22′24″W / 33.6558°N 88.3733°W | 2009–2025 | 13.35 mi (21.48 km) | 2,500 yd (2,300 m) | $7,105,000 | A home, a shed, power poles and trees were damaged near the start of the path, and another shed was damaged and the combine harvester inside was thrown into some trees. After the tornado passed through a wooded area, eight well-built homes in a neighborhood were damaged, and about five sustained severe damage. The tornado then moved into the Caledonia school complex and reached maximum intensity. The press box and concession stand of a football stadium were destroyed, several metal power poles were bent, and several trees were knocked down. Cars were moved up to 100 yards (91 m), and some cars were flipped or had windows broken. Five school buses were destroyed, two of which were flipped over, and one was lifted up and ripped apart. The gymnasium and another building were nearly destroyed, with several vehicles landing inside them. Six homes sustained significant damage, mainly to roofs, as the tornado moved across the south side of Caledonia. A church was completely destroyed when the roof was lifted up and collapsed on the building, and another church had minor roof damage. Further along the track, tree damage occurred in a wooded area, and many more homes were severely damaged. Many hardwood trees were snapped, a few of which fell on cars and homes, and a horse stable was completely destroyed. Several mobile homes were also destroyed, a high tension metal truss tower was snapped, and cars were moved up to 50 yards (46 m) in this area. The tornado weakened and continued to produce tree damage as it passed into Alabama. In Alabama, two homes were unroofed, two wooden barns were destroyed, and the foundations of two mobile homes were moved before the tornado lifted northeast of the town of Molloy. This was the third of three EF3 tornadoes produced by the same supercell. 15 people were injured.[90] |
| EF1 | NW of Hazel Dell to WNW of Hockinson | Clark | WA | 45°40′43″N 122°41′33″W / 45.6787°N 122.6924°W | 2015–2040 | 10.11 mi (16.27 km) | 440 yd (400 m) | $525,000 | A tornado touched down multiple times between Hazel Dell and Hockinson. Along the path, 30 to 40 homes were damaged, mostly with roof damage, three lightly constructed structures were destroyed, and a semi trailer was tipped over. Several dozen boats were damaged, 19 power poles were snapped and over 200 trees were downed as well.[91] |
| EF2 | SE of Ashland | Wayne | TN | 35°19′27″N 87°35′13″W / 35.3243°N 87.587°W | 2055–2056 | 1.29 mi (2.08 km) | 400 yd (370 m) | $200,000 | A 30 by 30-foot metal barn was completely destroyed, with sheets of metal from the barn carried about half a mile away into Lawrence County, and other metal barns had most of their roofs blown off. Some homes lost shingles, and a dog house that was anchored onto a concrete platform was blown away. In addition, several trees were snapped at the trunk, a wooden plank was planted into the ground, and many trees were uprooted near the Natchez Trace Parkway.[92] |
| EF1 | NE of Macon | Noxubee | MS | 33°09′16″N 88°28′52″W / 33.1544°N 88.4811°W | 2058–2101 | 1.87 mi (3.01 km) | 75 yd (69 m) | $30,000 | A brief tornado downed five power poles, two of which were snapped.[93] |
| EF0 | SSW of Bigbee Valley | Noxubee | MS | 33°10′49″N 88°23′54″W / 33.1804°N 88.3984°W | 2102–2104 | 0.76 mi (1.22 km) | 40 yd (37 m) | $0 | A brief, weak tornado touched down shortly after the previous event. A few trees had tops blown off and many tree limbs were snapped and downed along the path.[94] |
| EF0 | Southern Pickensville | Pickens | AL | 33°13′21″N 88°16′05″W / 33.2224°N 88.268°W | 2110 | 0.04 mi (0.064 km) | 50 yd (46 m) | $10,000 | A brief tornado touched down on the southern side of Pickensville, damaging a metal storage barn and blowing down several trees.[95] |
| EF1 | ESE of Gordo to SW of Echola | Pickens, Tuscaloosa | AL | 33°18′48″N 87°51′46″W / 33.3133°N 87.8629°W | 2143–2146 | 2.03 mi (3.27 km) | 100 yd (91 m) | $55,000 | A barn and several chicken houses sustained heavy damage, and minor tree damage occurred.[96] |
| EF3 | N of Tuscaloosa | Tuscaloosa | AL | 33°28′55″N 87°30′34″W / 33.482°N 87.5095°W | 2211–2217 | 5.62 mi (9.04 km) | 350 yd (320 m) | $435,000 | At least five structures, including a church and a general store, were heavily damaged. At least 300 trees were snapped or uprooted.[97] |
January 11 event
| EF# | Location | County / Parish | State | Start Coord. | Time (UTC) | Path length | Max width | Damage[note 2] | Summary |
|---|---|---|---|---|---|---|---|---|---|
| EF1 | Blue Springs | Barbour | AL | 31°38′25″N 85°31′44″W / 31.6402°N 85.5289°W | 0804–0810 | 3.48 mi (5.60 km) | 150 yd (140 m) | $75,000 | Four houses and a mobile home sustained roof damage, including one that had its covered deck ripped off. Several large trees were snapped, twisted, or uprooted.[98] |
Non-tornadic events

The storm system was also responsible for heavy flooding rains across much of the Midwest from Michigan to Missouri as well as dense fog across Wisconsin, Ontario and Quebec which was caused by rapid snow melt stemming from the January thaw.[99] flooding was reported across several towns and roads which forced the evacuation of some residents. Record-breaking temperatures were reported all across Southern Ontario and surrounding areas.[100][101][102] The thick fog lead to numerous accidents including two pile-ups involving in total 100 vehicles on I-90 near Madison, Wisconsin which killed at least two and injured dozens more while additional fatal accidents occurred elsewhere.[103] It also disrupted air travel across several airports.[104] Rainfall had exceeded locally 4 inches (100 mm) of rain from Missouri to Indiana and Michigan.
High winds and rain have battered Central, southern and eastern Ontario and southern and central Quebec on January 8, and 9. Power outages and wind damages were reported in some areas. As much as 140,000 Hydro One customers were without power in Ontario and at least 100,000 Hydro-Québec customers in Quebec. Winds were gusting in near on in excess of 100 km/h in some localities including the Greater Toronto Area while the highest peak being 133 km/h recorded near Sandbanks Provincial Park in Prince Edward County. One tractor trailer was overturned and nearly fell into the Saint Lawrence River on the Ogdensburg-Prescott International Bridge[105]
See also
- List of North American tornadoes and tornado outbreaks
- List of tornadoes striking downtown areas
- 1967 St. Louis tornado outbreak – Similar rare tornado outbreak in January in the Midwest
Notes
References
- ↑ "Storm Events". Storm Event Database. National Climatic Data Center (NCDC). January 10, 2008. Archived from the original on August 14, 2008. Retrieved June 19, 2008.
- ↑ "January Twisters Hit Southeastern Wisconsin". Associated Press. January 7, 2008. Archived from the original on January 17, 2008. Retrieved June 19, 2008.
- ↑ "Ontario, CA". The Sudbury Star. Retrieved January 1, 2012.
- ↑ "Timmins Daily Press – Ontario, CA". Timminspress.com. Retrieved January 1, 2012.
- ↑ "Storm Prediction Center Jan 7, 2008 1300 UTC Day 1 Convective Outlook". Spc.noaa.gov. Retrieved January 1, 2012.
- ↑ "Storm Prediction Center Jan 7, 2008 0600 UTC Day 1 Convective Outlook". Spc.noaa.gov. Retrieved January 1, 2012.
- ↑ "Cleanup After Fatal Mo. Tornadoes Begins – Kansas City News Story – KMBC Kansas City". Kmbc.com. January 7, 2008. Archived from the original on February 23, 2012. Retrieved January 1, 2012.
- ↑ "Mt. Pleasant Morning Sun". Themorningsun.com. Archived from the original on March 27, 2012. Retrieved January 1, 2012.
- ↑ "The North Bay Nugget – Ontario, CA". Nugget.ca. Retrieved January 1, 2012.
- ↑ Windsor, The (January 7, 2008). "Tornado watch in effect for Windsor-Essex County". Canada.com. Archived from the original on November 5, 2012. Retrieved January 1, 2012.
- ↑ Missouri Event Report: EF0 Tornado (Report). National Centers for Environmental Information. National Weather Service Weather Forecast Office in Springfield, Missouri. 2008. Retrieved January 3, 2016.
- ↑ Missouri Event Report: EF0 Tornado (Report). National Centers for Environmental Information. National Weather Service Weather Forecast Office in Springfield, Missouri. 2008. Retrieved January 3, 2016.
- ↑ Illinois Event Report: EF3 Tornado (Report). National Centers for Environmental Information. National Weather Service Weather Forecast Office in Chicago, Illinois. 2008. Retrieved January 3, 2016.
- ↑ Illinois Event Report: EF3 Tornado (Report). National Centers for Environmental Information. National Weather Service Weather Forecast Office in Chicago, Illinois. 2008. Retrieved January 3, 2016.
- ↑ Missouri Event Report: EF0 Tornado (Report). National Centers for Environmental Information. National Weather Service Weather Forecast Office in Kansas City, Missouri. 2008. Retrieved January 3, 2016.
- ↑ Wisconsin Event Report: EF1 Tornado (Report). National Centers for Environmental Information. National Weather Service Weather Forecast Office in Milwaukee, Wisconsin. 2008. Retrieved March 2, 2016.
- ↑ Wisconsin Event Report: EF3 Tornado (Report). National Centers for Environmental Information. National Weather Service Weather Forecast Office in Milwaukee, Wisconsin. 2008. Retrieved March 2, 2016.
- ↑ First tornado of 2022 in Wisconsin confirmed in Dane County, WSAW News, March 7, 2022
- ↑ Wisconsin Event Report: EF1 Tornado (Report). National Centers for Environmental Information. National Weather Service Weather Forecast Office in Milwaukee, Wisconsin. 2008. Retrieved March 2, 2016.
- ↑ Missouri Event Report: EF2 Tornado (Report). National Centers for Environmental Information. National Weather Service Weather Forecast Office in Springfield, Missouri. 2008. Retrieved March 2, 2016.
- ↑ Illinois Event Report: EF1 Tornado (Report). National Centers for Environmental Information. National Weather Service Weather Forecast Office in Central Illinois. 2008. Retrieved March 2, 2016.
- ↑ Missouri Event Report: EF0 Tornado (Report). National Centers for Environmental Information. National Weather Service Weather Forecast Office in Springfield, Missouri. 2008. Retrieved March 2, 2016.
- ↑ Missouri Event Report: EF2 Tornado (Report). National Centers for Environmental Information. National Weather Service Weather Forecast Office in Springfield, Missouri. 2008. Retrieved March 2, 2016.
- ↑ Missouri Event Report: EF3 Tornado (Report). National Centers for Environmental Information. National Weather Service Weather Forecast Office in Springfield, Missouri. 2008. Retrieved March 2, 2016.
- ↑ Missouri Event Report: EF3 Tornado (Report). National Centers for Environmental Information. National Weather Service Weather Forecast Office in Springfield, Missouri. 2008. Retrieved March 2, 2016.
- ↑ Missouri Event Report: EF3 Tornado (Report). National Centers for Environmental Information. National Weather Service Weather Forecast Office in Springfield, Missouri. 2008. Retrieved March 2, 2016.
- ↑ Missouri Event Report: EF0 Tornado (Report). National Centers for Environmental Information. National Weather Service Weather Forecast Office in Springfield, Missouri. 2008. Retrieved March 2, 2016.
- ↑ Missouri Event Report: EF0 Tornado (Report). National Centers for Environmental Information. National Weather Service Weather Forecast Office in Springfield, Missouri. 2008. Retrieved March 2, 2016.
- ↑ Missouri Event Report: EF2 Tornado (Report). National Centers for Environmental Information. National Weather Service Weather Forecast Office in Springfield, Missouri. 2008. Retrieved March 2, 2016.
- ↑ Missouri Event Report: EF2 Tornado (Report). National Centers for Environmental Information. National Weather Service Weather Forecast Office in Springfield, Missouri. 2008. Retrieved March 2, 2016.
- ↑ Missouri Event Report: EF0 Tornado (Report). National Centers for Environmental Information. National Weather Service Weather Forecast Office in Springfield, Missouri. 2008. Retrieved March 3, 2016.
- ↑ Arkansas Event Report: EF0 Tornado (Report). National Centers for Environmental Information. National Weather Service Weather Forecast Office in Tulsa, Oklahoma. 2008. Retrieved March 3, 2016.
- ↑ Missouri Event Report: EF3 Tornado (Report). National Centers for Environmental Information. National Weather Service Weather Forecast Office in Springfield, Missouri. 2008. Retrieved March 3, 2016.
- ↑ Missouri Event Report: EF3 Tornado (Report). National Centers for Environmental Information. National Weather Service Weather Forecast Office in Springfield, Missouri. 2008. Retrieved March 3, 2016.
- ↑ Oklahoma Event Report: EF0 Tornado (Report). National Centers for Environmental Information. National Weather Service Weather Forecast Office in Tulsa, Oklahoma. 2008. Retrieved March 3, 2016.
- ↑ Missouri Event Report: EF1 Tornado (Report). National Centers for Environmental Information. National Weather Service Weather Forecast Office in Springfield, Missouri. 2008. Retrieved March 3, 2016.
- ↑ Missouri Event Report: EF1 Tornado (Report). National Centers for Environmental Information. National Weather Service Weather Forecast Office in Springfield, Missouri. 2008. Retrieved March 3, 2016.
- ↑ Missouri Event Report: EF0 Tornado (Report). National Centers for Environmental Information. National Weather Service Weather Forecast Office in St. Louis, Missouri. 2008. Retrieved March 3, 2016.
- ↑ Illinois Event Report: EF0 Tornado (Report). National Centers for Environmental Information. National Weather Service Weather Forecast Office in St. Louis, Missouri. 2008. Retrieved March 3, 2016.
- ↑ Missouri Event Report: EF1 Tornado (Report). National Centers for Environmental Information. National Weather Service Weather Forecast Office in Springfield, Missouri. 2008. Retrieved March 3, 2016.
- ↑ Missouri Event Report: EF0 Tornado (Report). National Centers for Environmental Information. National Weather Service Weather Forecast Office in Springfield, Missouri. 2008. Retrieved March 3, 2016.
- ↑ Arkansas Event Report: EF0 Tornado (Report). National Centers for Environmental Information. National Weather Service Weather Forecast Office in Tulsa, Oklahoma. 2008. Retrieved March 3, 2016.
- ↑ Missouri Event Report: EF2 Tornado (Report). National Centers for Environmental Information. National Weather Service Weather Forecast Office in Springfield, Missouri. 2008. Retrieved March 3, 2016.
- ↑ Missouri Event Report: EF0 Tornado (Report). National Centers for Environmental Information. National Weather Service Weather Forecast Office in Springfield, Missouri. 2008. Retrieved March 3, 2016.
- ↑ Missouri Event Report: EF1 Tornado (Report). National Centers for Environmental Information. National Weather Service Weather Forecast Office in Springfield, Missouri. 2008. Retrieved March 3, 2016.
- ↑ Missouri Event Report: EF1 Tornado (Report). National Centers for Environmental Information. National Weather Service Weather Forecast Office in Springfield, Missouri. 2008. Retrieved March 3, 2016.
- ↑ Missouri Event Report: EF0 Tornado (Report). National Centers for Environmental Information. National Weather Service Weather Forecast Office in Springfield, Missouri. 2008. Retrieved March 3, 2016.
- ↑ Missouri Event Report: EF0 Tornado (Report). National Centers for Environmental Information. National Weather Service Weather Forecast Office in Springfield, Missouri. 2008. Retrieved March 3, 2016.
- ↑ Oklahoma Event Report: EF0 Tornado (Report). National Centers for Environmental Information. National Weather Service Weather Forecast Office in Tulsa, Oklahoma. 2008. Retrieved March 3, 2016.
- ↑ Arkansas Event Report: EF1 Tornado (Report). National Centers for Environmental Information. National Weather Service Weather Forecast Office in Tulsa, Oklahoma. 2008. Retrieved March 3, 2016.
- ↑ Oklahoma Event Report: EF0 Tornado (Report). National Centers for Environmental Information. National Weather Service Weather Forecast Office in Tulsa, Oklahoma. 2008. Retrieved March 3, 2016.
- ↑ Oklahoma Event Report: EF0 Tornado (Report). National Centers for Environmental Information. National Weather Service Weather Forecast Office in Tulsa, Oklahoma. 2008. Retrieved March 3, 2016.
- ↑ Missouri Event Report: EF1 Tornado (Report). National Centers for Environmental Information. National Weather Service Weather Forecast Office in Springfield, Missouri. 2008. Retrieved March 3, 2016.
- ↑ Missouri Event Report: EF0 Tornado (Report). National Centers for Environmental Information. National Weather Service Weather Forecast Office in Springfield, Missouri. 2008. Retrieved March 3, 2016.
- ↑ Missouri Event Report: EF1 Tornado (Report). National Centers for Environmental Information. National Weather Service Weather Forecast Office in Springfield, Missouri. 2008. Retrieved March 3, 2016.
- ↑ Missouri Event Report: EF1 Tornado (Report). National Centers for Environmental Information. National Weather Service Weather Forecast Office in Springfield, Missouri. 2008. Retrieved March 3, 2016.
- ↑ Missouri Event Report: EF1 Tornado (Report). National Centers for Environmental Information. National Weather Service Weather Forecast Office in Springfield, Missouri. 2008. Retrieved March 3, 2016.
- ↑ Missouri Event Report: EF0 Tornado (Report). National Centers for Environmental Information. National Weather Service Weather Forecast Office in Springfield, Missouri. 2008. Retrieved March 3, 2016.
- ↑ Missouri Event Report: EF0 Tornado (Report). National Centers for Environmental Information. National Weather Service Weather Forecast Office in Springfield, Missouri. 2008. Retrieved March 3, 2016.
- ↑ Missouri Event Report: EF0 Tornado (Report). National Centers for Environmental Information. National Weather Service Weather Forecast Office in Springfield, Missouri. 2008. Retrieved March 3, 2016.
- ↑ Missouri Event Report: EF2 Tornado (Report). National Centers for Environmental Information. National Weather Service Weather Forecast Office in Springfield, Missouri. 2008. Retrieved March 3, 2016.
- ↑ Missouri Event Report: EF1 Tornado (Report). National Centers for Environmental Information. National Weather Service Weather Forecast Office in Springfield, Missouri. 2008. Retrieved March 3, 2016.
- ↑ Missouri Event Report: EF0 Tornado (Report). National Centers for Environmental Information. National Weather Service Weather Forecast Office in Springfield, Missouri. 2008. Retrieved March 3, 2016.
- ↑ Missouri Event Report: EF1 Tornado (Report). National Centers for Environmental Information. National Weather Service Weather Forecast Office in Springfield, Missouri. 2008. Retrieved March 3, 2016.
- ↑ Missouri Event Report: EF0 Tornado (Report). National Centers for Environmental Information. National Weather Service Weather Forecast Office in Springfield, Missouri. 2008. Retrieved March 3, 2016.
- ↑ Missouri Event Report: EF1 Tornado (Report). National Centers for Environmental Information. National Weather Service Weather Forecast Office in Springfield, Missouri. 2008. Retrieved March 3, 2016.
- ↑ Missouri Event Report: EF1 Tornado (Report). National Centers for Environmental Information. National Weather Service Weather Forecast Office in Springfield, Missouri. 2008. Retrieved March 3, 2016.
- ↑ Missouri Event Report: EF0 Tornado (Report). National Centers for Environmental Information. National Weather Service Weather Forecast Office in Springfield, Missouri. 2008. Retrieved March 3, 2016.
- ↑ Arkansas Event Report: EF2 Tornado (Report). National Centers for Environmental Information. National Weather Service Weather Forecast Office in Little Rock, Arkansas. 2008. Retrieved March 3, 2016.
- ↑ Arkansas Event Report: EF2 Tornado (Report). National Centers for Environmental Information. National Weather Service Weather Forecast Office in Little Rock, Arkansas. 2008. Retrieved March 3, 2016.
- ↑ Arkansas Event Report: EF1 Tornado (Report). National Centers for Environmental Information. National Weather Service Weather Forecast Office in Little Rock, Arkansas. 2008. Retrieved March 3, 2016.
- ↑ Missouri Event Report: EF1 Tornado (Report). National Centers for Environmental Information. National Weather Service Weather Forecast Office in Paducah, Kentucky. 2008. Retrieved March 3, 2016.
- ↑ Arkansas Event Report: EF0 Tornado (Report). National Centers for Environmental Information. National Weather Service Weather Forecast Office in Memphis, Tennessee. 2008. Retrieved March 3, 2016.
- ↑ Arkansas Event Report: EF1 Tornado (Report). National Centers for Environmental Information. National Weather Service Weather Forecast Office in Memphis, Tennessee. 2008. Retrieved March 3, 2016.
- ↑ Arkansas Event Report: EF1 Tornado (Report). National Centers for Environmental Information. National Weather Service Weather Forecast Office in Memphis, Tennessee. 2008. Retrieved March 3, 2016.
- ↑ Tennessee Event Report: EF1 Tornado (Report). National Centers for Environmental Information. National Weather Service Weather Forecast Office in Memphis, Tennessee. 2008. Retrieved March 3, 2016.
- ↑ Tennessee Event Report: EF1 Tornado (Report). National Centers for Environmental Information. National Weather Service Weather Forecast Office in Memphis, Tennessee. 2008. Retrieved March 3, 2016.
- ↑ Mississippi Event Report: EF0 Tornado (Report). National Centers for Environmental Information. National Weather Service Weather Forecast Office in Jackson, Mississippi. 2008. Retrieved March 3, 2016.
- ↑ Mississippi Event Report: EF1 Tornado (Report). National Centers for Environmental Information. National Weather Service Weather Forecast Office in Jackson, Mississippi. 2008. Retrieved March 3, 2016.
- ↑ Mississippi Event Report: EF0 Tornado (Report). National Centers for Environmental Information. National Weather Service Weather Forecast Office in Jackson, Mississippi. 2008. Retrieved March 3, 2016.
- ↑ Mississippi Event Report: EF1 Tornado (Report). National Centers for Environmental Information. National Weather Service Weather Forecast Office in Jackson, Mississippi. 2008. Retrieved March 6, 2016.
- ↑ Mississippi Event Report: EF3 Tornado (Report). National Centers for Environmental Information. National Weather Service Weather Forecast Office in Jackson, Mississippi. 2008. Retrieved March 6, 2016.Mississippi Event Report: EF1 Tornado (Report). National Centers for Environmental Information. National Weather Service Weather Forecast Office in Jackson, Mississippi. 2008. Retrieved March 6, 2016.
- ↑ Mississippi Event Report: EF3 Tornado (Report). National Centers for Environmental Information. National Weather Service Weather Forecast Office in Jackson, Mississippi. 2008. Retrieved March 6, 2016.Mississippi Event Report: EF3 Tornado (Report). National Centers for Environmental Information. National Weather Service Weather Forecast Office in Jackson, Mississippi. 2008. Retrieved March 6, 2016.
- ↑ Mississippi Event Report: EF0 Tornado (Report). National Centers for Environmental Information. National Weather Service Weather Forecast Office in Jackson, Mississippi. 2008. Retrieved March 6, 2016.
- ↑ Alabama Event Report: EF0 Tornado (Report). National Centers for Environmental Information. National Weather Service Weather Forecast Office in Birmingham, Alabama. 2008. Retrieved March 7, 2016.
- ↑ Louisiana Event Report: EF1 Tornado (Report). National Centers for Environmental Information. National Weather Service Weather Forecast Office in New Orleans/Baton Rouge, Louisiana. 2008. Retrieved March 7, 2016.
- ↑ Mississippi Event Report: EF0 Tornado (Report). National Centers for Environmental Information. National Weather Service Weather Forecast Office in Jackson, Mississippi. 2008. Retrieved March 7, 2016.
- ↑ Mississippi Event Report: EF1 Tornado (Report). National Centers for Environmental Information. National Weather Service Weather Forecast Office in Memphis, Tennessee. 2008. Retrieved March 7, 2016.
- ↑ Kentucky Event Report: EF1 Tornado (Report). National Centers for Environmental Information. National Weather Service Weather Forecast Office in Louisville, Kentucky. 2008. Retrieved March 7, 2016.
- ↑ Mississippi Event Report: EF3 Tornado (Report). National Centers for Environmental Information. National Weather Service Weather Forecast Office in Jackson, Mississippi. 2008. Retrieved March 8, 2016.Alabama Event Report: EF3 Tornado (Report). National Centers for Environmental Information. National Weather Service Weather Forecast Office in Birmingham, Alabama. 2008. Retrieved March 8, 2016.
- ↑ Washington Event Report: EF1 Tornado (Report). National Centers for Environmental Information. National Weather Service Weather Forecast Office in Portland, Oregon. 2008. Retrieved March 6, 2016.
- ↑ Tennessee Event Report: EF2 Tornado (Report). National Centers for Environmental Information. National Weather Service Weather Forecast Office in Nashville, Tennessee. 2008. Retrieved March 13, 2016.
- ↑ Mississippi Event Report: EF1 Tornado (Report). National Centers for Environmental Information. National Weather Service Weather Forecast Office in Jackson, Mississippi. 2008. Retrieved March 13, 2016.
- ↑ Mississippi Event Report: EF0 Tornado (Report). National Centers for Environmental Information. National Weather Service Weather Forecast Office in Jackson, Mississippi. 2008. Retrieved March 13, 2016.
- ↑ Alabama Event Report: EF0 Tornado (Report). National Centers for Environmental Information. National Weather Service Weather Forecast Office in Birmingham, Alabama. 2008. Retrieved March 13, 2016.
- ↑ Alabama Event Report: EF1 Tornado (Report). National Centers for Environmental Information. National Weather Service Weather Forecast Office in Birmingham, Alabama. 2008. Retrieved March 13, 2016.Alabama Event Report: EF0 Tornado (Report). National Centers for Environmental Information. National Weather Service Weather Forecast Office in Birmingham, Alabama. 2008. Retrieved March 13, 2016.
- ↑ Alabama Event Report: EF3 Tornado (Report). National Centers for Environmental Information. National Weather Service Weather Forecast Office in Birmingham, Alabama. 2008. Retrieved December 27, 2016.
- ↑ Alabama Event Report: EF1 Tornado (Report). National Centers for Environmental Information. National Weather Service Weather Forecast Office in Birmingham, Alabama. 2008. Retrieved March 5, 2016.
- ↑ "Highway 69 at Pointe Au Baril reopens, Highway 537 still closed". Archived from the original on February 13, 2012. Retrieved January 1, 2012.
- ↑ "Winter flood forces evacuation of Quebec town". CBC News. January 8, 2008."The North Bay Nugget – Ontario, CA". Nugget.ca. Archived from the original on January 9, 2008. Retrieved January 1, 2012."The North Bay Nugget – Ontario, CA". Nugget.ca. December 21, 2011. Archived from the original on January 9, 2008. Retrieved January 1, 2012."Flooding causes closure of Hwy 537". Archived from the original on February 13, 2012. Retrieved January 1, 2012.Wingrove, Josh (January 10, 2008). "Flooding forces evacuations in Huntsville". The Star. Toronto. Retrieved May 5, 2010.
- ↑ "More flood threats across Quebec". Canada.com. January 10, 2008. Archived from the original on November 5, 2012. Retrieved January 1, 2012."CTV Toronto | CTV News, Shows and Sports – Canadian Television". Toronto.ctv.ca. January 10, 2008. Retrieved January 1, 2012."Highway 69 at Pointe Au Baril reopens, Highway 537 still closed". Archived from the original on February 13, 2012. Retrieved January 1, 2012."Archived copy". Archived from the original on February 14, 2008. Retrieved January 11, 2008.
{{cite web}}: CS1 maint: archived copy as title (link)"Localized flood emergency declared in Huntsville". Huntsvilleforester.com. Retrieved January 1, 2012. - ↑ "Severe weather hits Muskoka". Huntsvilleforester.com. Retrieved January 1, 2012.
- ↑ KHNL NBC 8 Honolulu Hawaii |Dozens of cars pile up in Wisconsin; 2 dead
- ↑ "Flights cancelled as fog rolls in with Ontario thaw". CBC News. January 7, 2008.
- ↑ "Hydro crews still dealing with windstorm damage". CBC News. January 11, 2008."Strong winds to blow away warm spell". CBC News. January 9, 2008."Gusts blow power out for thousands in Quebec". CBC News. January 9, 2008.Rush, Curtis (January 10, 2008). "Streets reopen after storm". The Star. Toronto. Retrieved May 5, 2010.Todd, Jeffrey (January 10, 2008). "Power still out for thousands in Muskoka". The Star. Toronto. Retrieved May 5, 2010.
